'Beyond anything experienced': hurricanes dominate, but widespread flooding lethal
A record-breaking Atlantic hurricane season has ravaged Central and North America, but much less-publicised flooding has devastated South Asia. BILAL AHMED SYED reports.
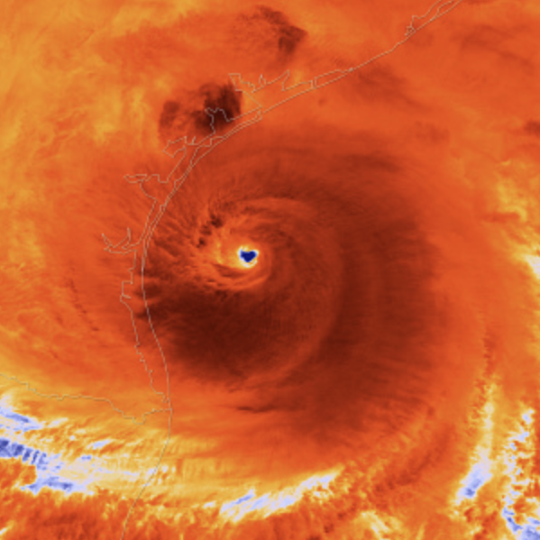
http://gty.im/850317282
Hurricane Irma left a trail of destruction.
By BILAL AHMED SYED
Hurricane Maria has just flattened Puerto Rico among other small Caribbean nations and is the third major tropical storm in the region after Hurricane Irma and Hurricane Harvey recently devastated parts of the Americas, while unprecedented flooding has caused havoc in Pakistan, India, Nepal, and Bangladesh.
Hurricane Harvey, Irma and now Maria
The Americas have been battered by hurricanes as the region recovers from the aftermath of Hurricane Harvey and Irma, as Hurricane Maria batters Puerto Rica.
Hurricane Harvey swept through the southern states of the US several weeks ago, flooding its fourth-biggest city Houston, and killing an estimated 47 people as well as causing around $180 billion of damage and displacing one million people.
The US National Weather Service described the extreme weather event as “unprecedented & all impacts are unknown and beyond anything experienced”.
Hurricane Irma dissipated last week, after killing more than 70 people, causing millions to evacuate and causing a third of Florida’s population to lose power.
Hurricane Irma was the most intense hurricane to hit the US since the devastating Hurricane Katrina which destroyed New Orleans in 2005, and Hurricane Harvey is the wettest tropical storm to ever hit the US.

South Asia under water
While hurricanes have devastated the Americas, gaining large media coverage, unprecedented flooding has ravaged Pakistan, India, Nepal and Bangladesh killing 1200 people and affecting 41 million.
Critics have lambasted the Western press for their disproportionate coverage of the US storms compared to the far more lethal South Asian floods.
Monash University flood expert and economics lecturer Dr Paul Raschky said he wasn't surprised by these numbers.
“The big difference between developed and developing countries is that they are more resilient – you see more people dying in poorer countries than richer countries.”
“There are more property losses in richer countries as there are more assets in built up areas. [Although] the organisation can be done more quickly,” he said.
UN-FAO project manager in Bangladesh Bishaka Tanchangya said she believed these floods would become more common.
“We are now experiencing more frequent extreme events such as uninterrupted heavy rain, floods, storms, thunderstorms, landslides, river bank erosion. With the current statistics, Bangladesh ranked third in Asia experiencing 185 extreme weather events in the last 20 years," she said.
http://gty.im/836108096
Flooding destroyed many villages in Bangladesh.
“The Government of Bangladesh reports that the floods have affected 32 areas, primarily in the north and northeast, as a result of flooding of the Brahmaputra-Jamuna waterway, affecting over eight million people.”
Authorities such as UN agencies, local and international NGOs have been assisting these flooded areas, and in the case of the government of Bangladesh, three million individuals have been given immediate food assistance.
However it’s not only people who have been affected, Ms Tanchangya said.
“Critical damage has also been reported to fishing infrastructure and fish cultures as well as on livestock … a large number of domestic animals are also being shielded alongside the displaced human populations. Many agricultural croplands including a number of community clinics have been immersed countrywide,” she said.
The FAO Bangladesh has applied for emergency funding to work with small-scale livestock farmers in flood affected areas, focusing on providing emergency support and building resilience.
Dr Raschky agreed that flood damage went far beyond displacing people and destroying infrastructure.
“Storms in coastal areas like hurricanes, don’t just destroy harvest but pushes [the] seas water, which is salty, onto land and so you can't use lands for agriculture purposes,” he said.

Climate change, hurricanes and floods
Scientists are already saying that while climate change did not cause the damaging hurricanes and flooding, which have occurred for centuries, it does make them worse.
While other extreme weather events like increasing numbers of and intensity of heatwaves are more easily correlated with climate change, there are so many factors that go into tropical storms and flooding the connection is less clear.
However, Ms Tanchangya said more flooding was inevitable.
“The most important thing is that flooding in Bangladesh cannot be prevented, but just controlled or managed.”